Active

$2,900,000

Características:
  • Quartos
  • 0 Banheiros
  • 0 m²
Visão Geral
  • ID: MFRPR9119317
  • Quartos:
  • Banheiros: 0
  • Tamanho: 0 m²
Detalhes do Imóvel
Observações
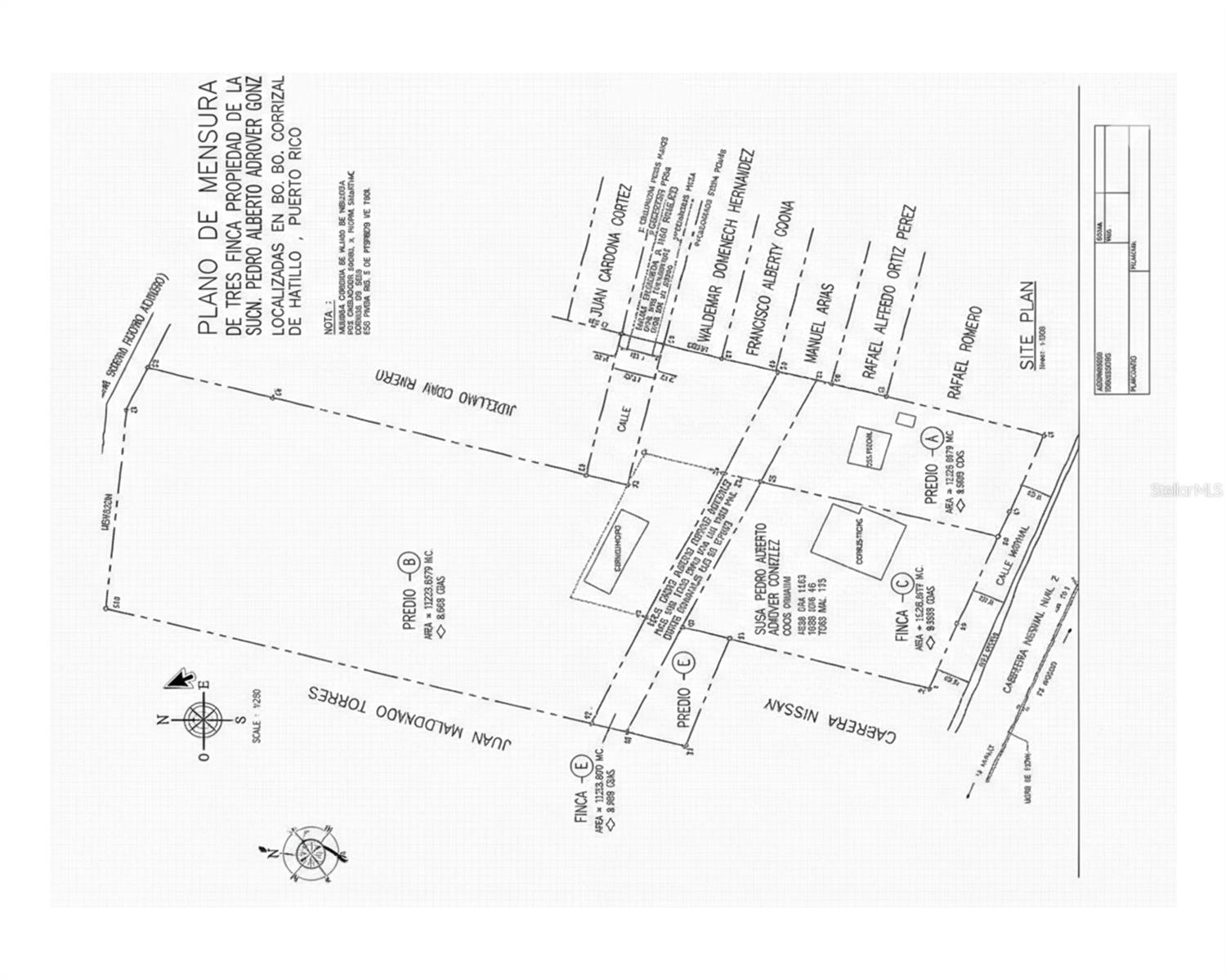
Oportunidade de desenvolvimento estratégico que consiste em três (3) parcelas de terreno identificadas como Parcela A, Parcela B e Parcela C (Finca C), localizadas no bairro Carrizales, município de Hatillo, Porto Rico, dentro de uma área designada para desenvolvimento comercial e turístico de acordo com as classificações de zoneamento atuais. De acordo com os registros de título, a propriedade contém aproximadamente 5,54 acres, oferecendo flexibilidade para planejamento integrado e desenvolvimento escalável. O conjunto permite múltiplas configurações de layout adequadas para projetos comerciais, turísticos ou de serviços, sujeitos às licenças aplicáveis. A Parcela C (Finca C) possui fachada direta ao longo da Estrada Estadual PR-2, proporcionando visibilidade estratégica, acessibilidade veicular e exposição comercial. A propriedade também oferece vistas para o mar, aumentando o seu valor paisagístico e potencial apelo para empreendimentos hoteleiros e turísticos. ZONEAMENTO E QUADRO REGULATÓRIO: Classificação de Zoneamento: CT-I (Turista Comercial Intermediário) Classificação do Uso do Solo PT e PUT: SU (Terreno Urbano) Distrito de sobreposição: APE-ZC (Área de Planejamento Especial Karst) Não localizado dentro de um canal de inundação. Sujeito ao Plano de Uso do Solo de Porto Rico, às Zonas de Interesse Turístico incorporadas ao atual Regulamento Conjunto e ao Plano e Regulamento de Áreas de Planejamento Especial do Karst (PRAPEC). USOS PERMITIDOS (entre outros): Hotelaria, eco-hospedagem, villas turísticas, condomínio-hotel, alojamento de curta duração, escritórios profissionais, instituições financeiras, restaurantes, utilizações comerciais, galerias de arte, ginásios, creches, aluguer de veículos, startups, alojamentos especializados e utilizações turísticas compatíveis, sujeitas à regulamentação aplicável. DISPOSIÇÃO: Parcela C (Finca C) — Fachada estratégica junto à PR-2 com estruturas existentes conforme plano de levantamento. Parcela B — Parcela primária conforme descrito nos registros de título. Parcela A — Parcela complementar com acesso rodoviário público. POSICIONAMENTO: A combinação de zoneamento comercial-turístico, área territorial significativa, vista para o mar e exposição rodoviária privilegiada apresenta características adequadas para avaliação de desenvolvimento hoteleiro, comercial, de serviços e turístico, sujeito a licenças e aprovações. NOTA: Áreas, limites e características estão sujeitos a verificação de acordo com planos de levantamento e documentação registrada.
Considerações Financeiras
Preço:
$2,900,000
Taxa de HOA:
N/D
Valor do Imposto:
$N/D
Preço por m²:
$13.5
Descrição Legal do Imposto:
N/D
Características Exteriores
Tamanho do Lote:
214806
Características do Lote:
N/D
Beira-mar:
Não
Vagas de Estacionamento:
N/D
Estacionamento:
N/D
Telhado:
N/D
Piscina:
Não
Características da Piscina:
N/D
Características Interiores
Quartos:
Banheiros:
0
Aquecimento:
N/D
Resfriamento:
N/D
Eletrodomésticos:
N/D
Mobiliado:
Não
Andar:
N/D
Níveis:
N/D
Características Adicionais
Subtipo de Imóvel:
N/D
Estilo:
N/D
Ano de Construção:
N/D
Tipo de Construção:
N/D
Vagas na Garagem:
Não
Vagas Cobertas:
N/D
Orientação da Fachada:
N/D
Animais Permitidos:
Não
Condição Especial:
Nenhum
Características Adicionais:
N/D
Características Adicionais 2:
N/D
Mapa
  • Endereço
    BO CARRIZALES
Fale com um profissional
Por Que Nos Escolher?
  • Comunicação e Transparência
  • Negociação Qualificada
  • Rede Profissional Robusta
  • Suporte Pós-Venda
Propriedades em Destaque

Imóveis relacionados

img
  • Featured
  • Active

1013 W VINE ST

  • 0
  • 0 m²
avt
Daniel Dourado
$ 249,900
avt
Daniel Dourado
$ 249,900
img
  • Featured
  • Active

Punta Arenas PUERTO REAL

  • 0
  • 0 m²
avt
Daniel Dourado
$ 5,900,000
img
  • Featured
  • Active

Carr 511 ANTON #Lot 5

  • 0
  • 0 m²
avt
Daniel Dourado
$ 950,000
img
  • Featured
  • Active

7219 MAUNA LOA BLVD

  • 0
  • 0 m²
avt
Daniel Dourado
$ 330,000
avt
Daniel Dourado
$ 219,900
img
  • Featured
  • Active

302 N OREGON AVE

  • 0
  • 0 m²
avt
Daniel Dourado
$ 299,000
img
  • Featured
  • Active

9564 SE 47TH WAY

  • 0
  • 0 m²
avt
Daniel Dourado
$ 214,900
img
  • Featured
  • Active

1749 TURNBERRY TER

  • 0
  • 0 m²
avt
Daniel Dourado
$ 280,000
img
  • Featured
  • Active

18376 US HWY 301

  • 0
  • 0 m²
avt
Daniel Dourado
$ 249,000
avt
Daniel Dourado
$ 696,000
img
  • Featured
  • Active

3110 W DE BAZAN AVE

  • 0
  • 0 m²
avt
Daniel Dourado
$ 599,000