Active

$250,000

Features:
  • Bedrooms
  • 0 Bathrooms
  • sq ft
Overview
  • ID: MFRPR9120507
  • Bedrooms:
  • Bathrooms: 0
  • Size: sq ft
Property Details
Remarks
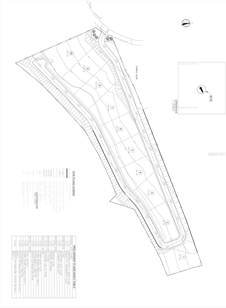
Located in the heights of the quiet, mid-island neighborhood of Los Chivos, this 3.4-acre lot offers elevated ocean views along with an exceptional sense of space and privacy. The property presents strong development potential. Its topography and scale support flexible design options, from a luxury private residence to a cohesive residential community, with many lots positioned to capture both sunrise and sunset views. An approved segregation plan allows for division into 10 parcels, making it especially attractive for investors to efficiently execute a development vision. This is an ideal opportunity in a market with high demand for view-oriented and accessible properties. Centrally located, the property offers convenient access to Isabel II for everyday essentials, as well as the island’s most sought-after destinations—including pristine Caribbean beaches, the world-renowned bioluminescent bay, and Esperanza’s established dining and tourism corridor—enhancing its appeal for full-time residents, vacation homeowners, and short-term rental markets. Whether you are looking to build a private retreat or pursue a strategic development opportunity in one of Vieques’ most desirable areas, the combination of scale, views, and privacy undoubtedly makes this property a captivating option.
Financial Considerations
Price:
$250,000
HOA Fee:
N/A
Tax Amount:
$N/A
Price per SqFt:
$1.71
Tax Legal Description:
N/A
Exterior Features
Lot Size:
146344
Lot Features:
N/A
Waterfront:
No
Parking Spaces:
N/A
Parking:
N/A
Roof:
N/A
Pool:
No
Pool Features:
N/A
Interior Features
Bedrooms:
Bathrooms:
0
Heating:
N/A
Cooling:
N/A
Appliances:
N/A
Furnished:
No
Floor:
N/A
Levels:
N/A
Additional Features
Property Sub Type:
N/A
Style:
N/A
Year Built:
N/A
Construction Type:
N/A
Garage Spaces:
No
Covered Spaces:
N/A
Direction Faces:
N/A
Pets Allowed:
No
Special Condition:
None
Additional Features:
N/A
Additional Features 2:
N/A
Map
  • Address
    18 CALLE 16
Contact a Professional
Why Choose Us?
  • Communication and Transparency
  • Skilled Negotiation
  • Robust Professional Network
  • After-Sale Support
Featured Properties

Related Properties

img
  • Featured
  • Active

5924 RIVER TER

  • 0
  • 0 m²
avt
Daniel Dourado
$ 1,000,000
img
  • Featured
  • Active

85321 CUNO CREEK DR

  • 0
  • 0 m²
avt
Daniel Dourado
$ 230,000
avt
Daniel Dourado
$ 300,000
avt
Daniel Dourado
$ 229,900
img
  • Featured
  • Active

1903 SPRUCE CREEK CIR N

  • 0
  • 0 m²
avt
Daniel Dourado
$ 485,000
avt
Daniel Dourado
$ 1,500,000
img
  • Featured
  • Active

9232 US HIGHWAY 98 N

  • 0
  • 0 m²
avt
Daniel Dourado
$ 599,000
img
  • Featured
  • Active

222 ROTONDA BLVD W

  • 0
  • 0 m²
avt
Daniel Dourado
$ 495,000
img
  • Featured
  • Active

985 KM 1.6 INTERIOR QUEBRADA FAJARDO

  • 0
  • 0 m²
avt
Daniel Dourado
$ 299,000
img
  • Featured
  • Active

620 PINETREE RD

  • 0
  • 0 m²
avt
Daniel Dourado
$ 2,790,000
img
  • Featured
  • Active

1215 WISCONSIN AVE

  • 0
  • 0 m²
avt
Daniel Dourado
$ 249,000
img
  • Featured
  • Active

12714 STONEYBROOK WEST PKWY

  • 0
  • 0 m²
avt
Daniel Dourado
$ 2,250,000