Active

$710,000

Características:
  • Quartos
  • 0 Banheiros
  • 0 m²
Visão Geral
  • ID: MFRTB8474192
  • Quartos:
  • Banheiros: 0
  • Tamanho: 0 m²
Detalhes do Imóvel
Observações
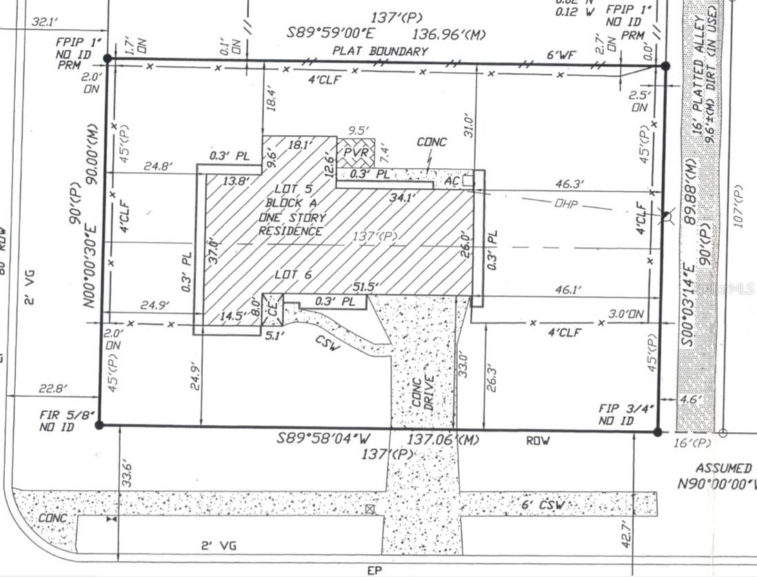
Oportunidade de desenvolvimento principal na Grande Allendale – lote duplo, zoneamento NT-1, elegível para ADU. Oportunidade rara de adquirir um lote duplo de 0,28 acres (90 x 137) no desejável e seco bairro da Grande Allendale. Zoneada como NT-1, esta propriedade oferece potencial para subdividir-se em dois lotes edificáveis ​​de grandes dimensões, cada um elegível para uma residência unifamiliar mais uma Unidade de Habitação Acessória (ADU). A casa existente de blocos de concreto com 2 quartos e 2 banheiros está bem conservada e permite usabilidade imediata para renda de aluguel ou uso temporário enquanto se busca planos de desenvolvimento. As atualizações recentes incluem HVAC (2024), aquecedor de água (2023), janelas resistentes a impactos e uma cozinha atualizada com bancadas de granito e eletrodomésticos de aço inoxidável. O amplo lote de esquina oferece acesso pelos fundos, oferecendo flexibilidade para planejamento futuro do local. Localizada na Grande Allendale, esta propriedade se beneficia da demanda consistente do bairro, proximidade do centro de São Petersburgo e vantagens de redesenvolvimento de longo prazo. Ideal para incorporadores, construtores ou investidores que buscam uma oportunidade de desenvolvimento de baixa densidade em um dos bairros mais estabelecidos de São Petersburgo.
Considerações Financeiras
Preço:
$710,000
Taxa de HOA:
N/D
Valor do Imposto:
$1406.35
Preço por m²:
$57.58
Descrição Legal do Imposto:
Bay State Sub Blk A, Lotes 5 e 6
Características Exteriores
Tamanho do Lote:
12330
Características do Lote:
Lote de Esquina, Lote Amplo, Calçada
Beira-mar:
Não
Vagas de Estacionamento:
N/D
Estacionamento:
N/D
Telhado:
N/D
Piscina:
Não
Características da Piscina:
N/D
Características Interiores
Quartos:
Banheiros:
0
Aquecimento:
N/D
Resfriamento:
N/D
Eletrodomésticos:
N/D
Mobiliado:
Não
Andar:
N/D
Níveis:
N/D
Características Adicionais
Subtipo de Imóvel:
N/D
Estilo:
N/D
Ano de Construção:
N/D
Tipo de Construção:
N/D
Vagas na Garagem:
Não
Vagas Cobertas:
N/D
Orientação da Fachada:
Sul
Animais Permitidos:
Não
Condição Especial:
Nenhum
Características Adicionais:
N/D
Características Adicionais 2:
N/D
Mapa
  • Endereço
    655 42ND AVE N
Fale com um profissional
Por Que Nos Escolher?
  • Comunicação e Transparência
  • Negociação Qualificada
  • Rede Profissional Robusta
  • Suporte Pós-Venda
Propriedades em Destaque

Imóveis relacionados

img
  • Featured
  • Active

N CLARKE RD

  • 0
  • 0 m²
avt
Daniel Dourado
$ 500,000
img
  • Featured
  • Active

5378 W HIGHWAY 329

  • 0
  • 0 m²
avt
Daniel Dourado
$ 517,500
img
  • Featured
  • Active

214 STILLWATER DR

  • 0
  • 0 m²
avt
Daniel Dourado
$ 267,500
avt
Daniel Dourado
$ 799,000
img
  • Featured
  • Active

2519 MOCCASIN WALLOW RD

  • 0
  • 0 m²
avt
Daniel Dourado
$ 1,399,999
avt
Daniel Dourado
$ 355,000
img
  • Featured
  • Active

TBD NE 25TH AVE

  • 0
  • 0 m²
avt
Daniel Dourado
$ 240,000
avt
Daniel Dourado
$ 375,000
img
  • Featured
  • Active

4345 HENRY J AVE

  • 0
  • 0 m²
avt
Daniel Dourado
$ 460,000
img
  • Featured
  • Active

240 PRESIDENT ST

  • 0
  • 0 m²
avt
Daniel Dourado
$ 924,000
img
  • Featured
  • Active

2154 DR MARTIN LUTHER KING JR WAY

  • 0
  • 0 m²
avt
Daniel Dourado
$ 215,000
img
  • Featured
  • Active

27430 MILLER RD

  • 0
  • 0 m²
avt
Daniel Dourado
$ 624,900